Terrain à vendre 611 m2 PLOUAGAT - 22
71 000 €
- Honoraires charge vendeur
- 
           1/2 1/2
- 
          ![Afficher la photo en grand terrain à vendre - 611.0 m2 - PLOUAGAT - 22 - BRETAGNE - Century 21 Le Calvez]() 2/2 2/2
 
Description
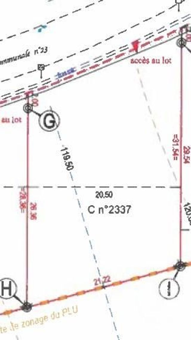
Caractéristiques du terrain :
Ce terrain représente une opportunité rare pour ceux qui souhaitent construire leur projet dans un environnement agréable et dynamique. À seulement quelques minutes à pieds des bourgs, vous profiterez d'une qualité de vie idéale.
Localisation
Afficher sur la carte :
Vue globale
- Surface totale : 611 m2
Équipements
Général
- Façade : 21,22 m
- électricité
- Gaz
 
   